Super Typhoon Ragasa Strikes Philippines, Threatens Neighboring Countries
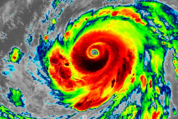
Super typhoon Ragasa makes landfall in the Philippines, causing evacuations and damage.
Can understand more complex conversations and articles, capable of fluent daily communication. Has basic writing skills.
Super typhoon Ragasa makes landfall in the Philippines, causing evacuations and damage.
Nvidia to invest $100 billion in OpenAI, strengthening AI partnership.
Outdoor brand Arc'teryx faces backlash and investigation after a fireworks display in Tibet's fragile ecosystem.
AKB48 released an AI-created song after fans preferred it over a human-written track.
Little Arboreal Ladybirds found in the New Forest, UK for the first time.
Hannah Cox plans to run 100 marathons in 100 days across India, inspired by her father's heritage and aiming to raise awareness about sustainable business practices.
Key US vaccine panel no longer recommends Covid-19 jab for all adults, sparking debate in medical community.
South Korean court rules that defaming virtual K-pop idols is punishable, ordering a social media user to pay damages.